Select your language

The Family Atlas

Processing Status:
2 / 2 100%
Size of Species: 6 - 18 mm
Tarsal Formula: 5-5-5


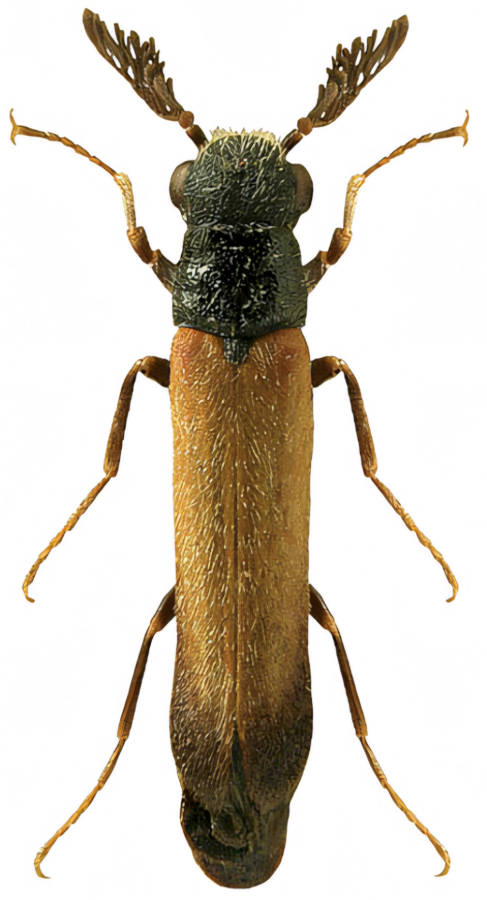
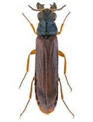
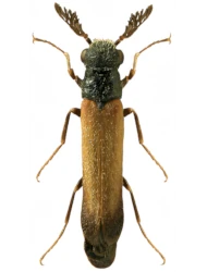
The family Hylecoetidae, newly defined by a phylogenetic study from 2025 (Batelka et al.), comprises the subfamilies Hylecoetinae and Melittommatinae. Compared to the sister family Lymexylidae, these beetles have a slightly more robust body structure, although they still retain an elongated habit. A distinctive feature is strong sexual dimorphism, which is evident not only in the palps but also in colour – males are usually smaller and dark-coloured (almost black), whilst females are larger and yellow-orange. Behind the eyes, their head is conspicuously narrowed into a sort of ‘neck’, which increases its mobility. The antennae are serrated in shape, which is an important distinguishing feature. When laying eggs, females infect the wood with spores of fungi of the genus Endomyces, which they carry in specialised organs (mycetangia). The larvae then consume the mycelium growing on the walls of the tunnels. The Hylecoetidae differ from the sister family Lymexylidae primarily in larval morphology: the 9th abdominal segment of the larvae extends posteriorly beyond the 10th segment and always bears several sclerotised spiny projections of various shapes and arrangements, serving to seal the tunnel against predators. The Melittommatinae include species that resemble bees in appearance. The family is distributed across the Palearctic and Nearctic regions (Hylecoetinae) as well as in the tropics and the Southern Hemisphere (Melittommatinae). The beetles attack both coniferous (e.g. spruce, fir) and deciduous (e.g. birch) wood. In total, the family comprises approximately 27 extant species in 6 genera.

Number of Species:

World 27
Palaearctic Region 3
Europe 2
Central Europe 2

card family 48 Family Card

 

HYLECOETIDAE (Germar, 1818)

Hylecoetinae (Germar, 1818)

 

 

Cookies user preferences
We use cookies to ensure you to get the best experience on our website. If you decline the use of cookies, this website may not function as expected.
Accept all
Decline all
Analytics
Tento web používá analytické cookies systému Matomo za účelem anonymního sledování návštěvnosti a zlepšování jeho funkčnosti. Data jsou zpracovávána agregovaně a nejsou používána k vaší osobní identifikaci. Analytické cookies můžete odmítnout nebo s jejich použitím souhlasit. (This website uses Matomo analytical cookies to anonymously track traffic and improve its functionality. The data is processed in aggregate form and is not used to identify you personally. You can refuse analytical cookies or consent to their use.)
Matomo
Používáme analytické cookies Matomo k anonymnímu vyhodnocování návštěvnosti. Souhlasem povolíte jejich použití, odmítnutím zabráníte jejich ukládání. (We use Matomo analytical cookies to anonymously evaluate traffic. By agreeing, you consent to their use; by refusing, you prevent them from being stored.)
Accept
Decline
Save