Select your language

The Family Atlas

Processing Status:
1 / 1 100%
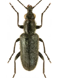
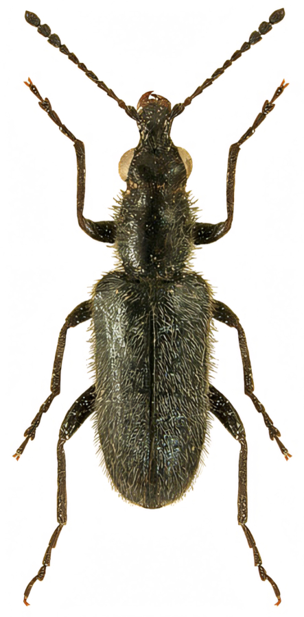
Size of Species: 5 - 6 mm
Tarsal Formula: 5-5-5


The family Nemonychidae is one of the most evolutionarily ancient and primitive groups of weevils (Curculionoidea). It is a relatively small family, comprising only a few dozen extant species, which are distributed mainly in Australasia, South America and, to a lesser extent, in the Palearctic and Nearctic regions. They are classified among the so-called primitive weevils because they have straight, rather than geniculate, antennae, whilst the upper lip (labrum) is clearly separated from the clypeus and the maxillary mandibles are conspicuously long and protruding. Most species are closely associated with coniferous trees, particularly those of the families Araucariaceae, Podocarpaceae and Pinaceae. Both adults and larvae feed primarily on pollen, which they consume from the male cones or inflorescences of host plants. The larvae develop directly within the pollen organs of the plants and, upon completion of their development, pupate in the soil. Fossil finds indicate that this line of beetles has existed since the Jurassic period, making it one of the oldest known branches of weevils.

Number of Species:

World 60
Palaearctic Region 4
Europe 1
Central Europe 1

card family 48 Family Card

 

NEMONYCHIDAE (Bedel, 1882)

Nemonychinae (Bedel, 1882)

 

 

Cookies user preferences
We use cookies to ensure you to get the best experience on our website. If you decline the use of cookies, this website may not function as expected.
Accept all
Decline all
Analytics
Tento web používá analytické cookies systému Matomo za účelem anonymního sledování návštěvnosti a zlepšování jeho funkčnosti. Data jsou zpracovávána agregovaně a nejsou používána k vaší osobní identifikaci. Analytické cookies můžete odmítnout nebo s jejich použitím souhlasit. (This website uses Matomo analytical cookies to anonymously track traffic and improve its functionality. The data is processed in aggregate form and is not used to identify you personally. You can refuse analytical cookies or consent to their use.)
Matomo
Používáme analytické cookies Matomo k anonymnímu vyhodnocování návštěvnosti. Souhlasem povolíte jejich použití, odmítnutím zabráníte jejich ukládání. (We use Matomo analytical cookies to anonymously evaluate traffic. By agreeing, you consent to their use; by refusing, you prevent them from being stored.)
Accept
Decline
Save