Select your language

The Family Atlas

Processing Status:
1 / 1 100%
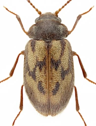
Size of Species: 2.5 - 3.3 mm
Tarsal Formula: 5-5-5


The family Phloiophilidae comprises small beetles belonging to the superfamily Cleroidea within the order Coleoptera. It includes a single species that is predominantly associated with environments beneath tree bark. Both adults and larvae are usually found in the tunnels of other insects, particularly bark beetles and other species living in the phloem, where they likely act as predators or opportunistic saprophages. Beetles of this family are small, slender and flattened, which allows them to move through narrow spaces beneath the bark. Their colouration is usually inconspicuous, mostly brown to black. The antennae are relatively short and segmented, and the body is finely hairy. The sole species of the family is widespread in Europe in older deciduous and coniferous forests and is considered a relict element of saproxylic communities. Although this is a strikingly specialised group, its biology and ecology remain poorly understood.

Number of Species:

World 1
Palaearctic Region 1
Europe 1
Central Europe 1

card family 48 Family Card

 

PHLOIOPHILIDAE (Kiesenwetter, 1863)

 

 

Cookies user preferences
We use cookies to ensure you to get the best experience on our website. If you decline the use of cookies, this website may not function as expected.
Accept all
Decline all
Analytics
Tento web používá analytické cookies systému Matomo za účelem anonymního sledování návštěvnosti a zlepšování jeho funkčnosti. Data jsou zpracovávána agregovaně a nejsou používána k vaší osobní identifikaci. Analytické cookies můžete odmítnout nebo s jejich použitím souhlasit. (This website uses Matomo analytical cookies to anonymously track traffic and improve its functionality. The data is processed in aggregate form and is not used to identify you personally. You can refuse analytical cookies or consent to their use.)
Matomo
Používáme analytické cookies Matomo k anonymnímu vyhodnocování návštěvnosti. Souhlasem povolíte jejich použití, odmítnutím zabráníte jejich ukládání. (We use Matomo analytical cookies to anonymously evaluate traffic. By agreeing, you consent to their use; by refusing, you prevent them from being stored.)
Accept
Decline
Save