Select your language

The Family Atlas

Processing Status:
6 / 6 100%
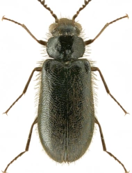
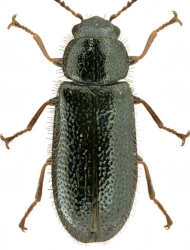
Size of Species: 3.5 - 6 mm
Tarsal Formula: 5-5-5


The family Rhadalidae belongs to the order Coleoptera and comprises a small group of predominantly small to medium-sized beetles, found mainly in tropical and subtropical regions. Members of this family are characterised by a relatively slender body, soft to moderately sclerotised elytra, and often contrasting colouration, which may include combinations of red, orange, black or yellow. Morphologically, they exhibit features similar to certain groups within the superfamily Cleroidea, to which they are also systematically assigned. The antennae are usually filiform to slightly serrate, and the head is relatively well-developed with conspicuous compound eyes. Both larvae and adults are typically predatory or saproxylic, inhabiting environments associated with dead wood, tree bark or decomposing organic matter. From an ecological perspective, they may act as predators of small insects living in wood or under bark. The taxonomy of the family has been variable in the past, and some genera were previously classified within other groups of Cleroidea; the current classification is based primarily on modern morphological and molecular studies.

Number of Species:

World 120
Palaearctic Region 120
Europe 90
Central Europe 12

card family 48 Family Card

 

Rhadalidae (LeConte, 1861)

Rhadalinae (LeConte, 1861)

 

 

Cookies user preferences
We use cookies to ensure you to get the best experience on our website. If you decline the use of cookies, this website may not function as expected.
Accept all
Decline all
Analytics
Tento web používá analytické cookies systému Matomo za účelem anonymního sledování návštěvnosti a zlepšování jeho funkčnosti. Data jsou zpracovávána agregovaně a nejsou používána k vaší osobní identifikaci. Analytické cookies můžete odmítnout nebo s jejich použitím souhlasit. (This website uses Matomo analytical cookies to anonymously track traffic and improve its functionality. The data is processed in aggregate form and is not used to identify you personally. You can refuse analytical cookies or consent to their use.)
Matomo
Používáme analytické cookies Matomo k anonymnímu vyhodnocování návštěvnosti. Souhlasem povolíte jejich použití, odmítnutím zabráníte jejich ukládání. (We use Matomo analytical cookies to anonymously evaluate traffic. By agreeing, you consent to their use; by refusing, you prevent them from being stored.)
Accept
Decline
Save