Select your language

The Family Atlas

Processing Status:
10 / 10 100%
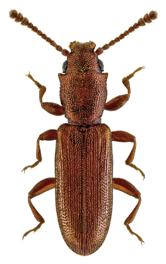
Size of Species: 2 - 7 mm
Tarsal Formula: 5-5-5 (alt. ♂ 5-5-4)


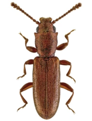
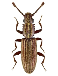
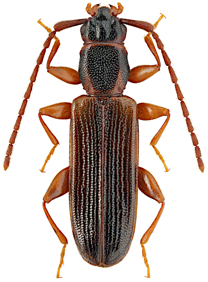
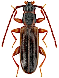
Silvanidae is a relatively small but ecologically and economically significant family of beetles. Its members are small, dorsoventrally flattened beetles, brown or rust-coloured, hairy and densely spotted. Most species live under the bark of dead or damaged trees and feed on moulds and fungi. The family has a cosmopolitan distribution – it is found on every continent except Antarctica, with the greatest species and genus diversity occurring in the tropics of the Old World. Alongside many forest and saproxylic species, the family includes several economically significant pests of stored foodstuffs, which have spread worldwide through trade.

Number of Species:

World 500
Palaearctic Region 106
Europe 42
Central Europe 17

card family 48 Family Card

 

SILVANIDAE (Kirby, 1837)

Brontinae (Blanchard, 1845)
Brontini (Blanchard, 1845)

 

 

Telephanini (LeConte, 1861)

 

 

Silvaninae (Kirby, 1837)

 

 

Cookies user preferences
We use cookies to ensure you to get the best experience on our website. If you decline the use of cookies, this website may not function as expected.
Accept all
Decline all
Analytics
Tento web používá analytické cookies systému Matomo za účelem anonymního sledování návštěvnosti a zlepšování jeho funkčnosti. Data jsou zpracovávána agregovaně a nejsou používána k vaší osobní identifikaci. Analytické cookies můžete odmítnout nebo s jejich použitím souhlasit. (This website uses Matomo analytical cookies to anonymously track traffic and improve its functionality. The data is processed in aggregate form and is not used to identify you personally. You can refuse analytical cookies or consent to their use.)
Matomo
Používáme analytické cookies Matomo k anonymnímu vyhodnocování návštěvnosti. Souhlasem povolíte jejich použití, odmítnutím zabráníte jejich ukládání. (We use Matomo analytical cookies to anonymously evaluate traffic. By agreeing, you consent to their use; by refusing, you prevent them from being stored.)
Accept
Decline
Save