Select your language

The Family Atlas

Processing Status:
6 / 8 75%
Size of Species: 1.3 - 4.5 mm
Tarsal Formula: 4-4-4


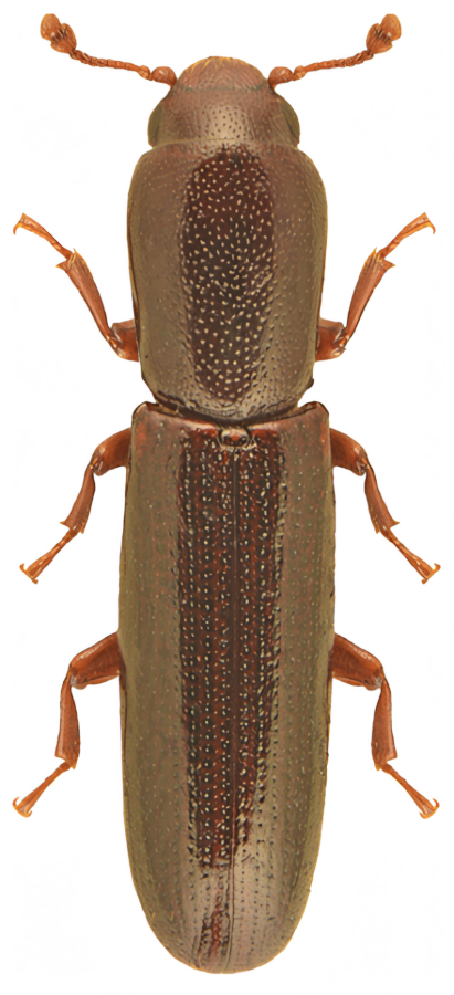
The Teredidae are a small and little-studied family of beetles, whose members, despite their modest size, are an example of specialisation in the environment of old and decaying wood. The family comprises approximately 160 species, classified into 10 genera and distributed throughout the world with the exception of South America. It comprises minute, generally cylindrical species (mostly 1.3–4.5 mm), brown to black in colour, which live predominantly beneath the bark in the tunnels of wood-boring beetles or in leaf litter. Members of the subfamily Anommatinae form a distinct group, living in decaying organic material – they are wingless, with reduced eyes or completely blind, and many live underground. Members of the subfamilies Teredinae and Xylariophilinae are considered exclusive mycophages, i.e. animals that feed on fungi, with Teredinae larvae feeding on spores in the tunnels of bark beetles and other wood-boring pests. Although the family Teredidae is of very ancient origin – fossils have been found in Burmese amber dating from the Middle Cretaceous – it has only been recognised as a separate taxonomic unit since 2015, when it was separated from the family Bothrideridae.

Number of Species:

World 160
Palaearctic Region 122
Europe 105
Central Europe 18

card family 48 Family Card

 

TEREDIDAE (Seidlitz, 1888)

Anommatinae (Ganglbauer, 1899)

 

 

Teredinae (Seidlitz, 1888)
Teredini (Seidlitz, 1888)

 

 

Cookies user preferences
We use cookies to ensure you to get the best experience on our website. If you decline the use of cookies, this website may not function as expected.
Accept all
Decline all
Analytics
Tento web používá analytické cookies systému Matomo za účelem anonymního sledování návštěvnosti a zlepšování jeho funkčnosti. Data jsou zpracovávána agregovaně a nejsou používána k vaší osobní identifikaci. Analytické cookies můžete odmítnout nebo s jejich použitím souhlasit. (This website uses Matomo analytical cookies to anonymously track traffic and improve its functionality. The data is processed in aggregate form and is not used to identify you personally. You can refuse analytical cookies or consent to their use.)
Matomo
Používáme analytické cookies Matomo k anonymnímu vyhodnocování návštěvnosti. Souhlasem povolíte jejich použití, odmítnutím zabráníte jejich ukládání. (We use Matomo analytical cookies to anonymously evaluate traffic. By agreeing, you consent to their use; by refusing, you prevent them from being stored.)
Accept
Decline
Save