Select your language

All      A   B   C   D   E   F   G   H   I   J   K   L   M   N   O   P   Q   R   S   T   U   V   W   X   Y   Z
Taxonomic Classification

Coleoptera > Polyphaga > Cucujiformia > Chrysomeloidea > Megalopodidae

Latin Synonyms

No Latin synonyms are recorded for the family as such. However, the following synonyms have appeared, related to the earlier description of the family:

  • LAT: Megalopides (Latreille, 1802)
    historical generic synonym associated with the original descriptions
  • LAT: Megalopinae
    older, inaccurate subfamily notation
  • LAT: Megalopodinae
    former subfamily designation within Chrysomelidae
Language Synonyms

  • CZ: has no Czech name
  • SK: has no Slovak name
  • PL: has no Polish name
  • AT/DE/CH: has no German name
  • HU: no Hungarian name
  • EN: Megalopolids (Megalopodid leaf beetles)
  • RU: Megalopodidae (Megalopodidae)

Name Etymology

The name of the family Megalopodidae is derived from the genus Megalopus, which was named after a distinctive morphological feature of the adults.
The name comes from the ancient Greek words:

  • μεˊγας (megas), meaning "large" or "massive".
  • -pod/-pus (Greek ποὺς/πόδας) (podos), genitive of πoυˊς (pous), meaning "foot" or "foot".

Megalopodidae thus means "beetles with big feet". It refers in particular to the conspicuously thickened and long hind legs that are typical of the males of many species in the subfamily Megalopodinae.

Basic Characteristics

History

The family Megalopodidae was formally described by the French entomologist Pierre André Latreille in 1802.

The family has long been associated with the "mandellids" (Chrysomelidae). In the past, many taxonomists have been willing to consider it a subfamily or group within the Chrysomelidae. Modern phylogenetic studies and revisions (especially in the 20th and 21st centuries) have confirmed the distinctiveness of Megalopodidae and reinforced its status as a separate family within the superfamily Chrysomeloidea.

The family Megalopodidae currently includes three subfamilies: Megalopodinae (a nomotypic subfamily, most species and genera), Zeugophorinae (which has also often been placed in Chrysomelidae), and Palophaginae (a more recently described subfamily for Australian beetles related to Araucaria).

However, more recent taxonomic studies from 2021 suggest some changes - a new subfamily Atelederinae has been proposed, which would expand the number of subfamilies to four. This change is based on phylogenetic analyses that showed that the genus Ateledera should be split into a separate subfamily.

Morphology

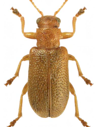
Individuals in the family Megalopodidae are usually small to medium-sized beetles. In the European species (Zeugophora), the length normally ranges from approximately 2-6 mm. Some tropical species of the genus Megalopus can reach larger sizes (up to 20 mm), but overall it is a small to medium-sized group.

The body is usually elongate and cylindrical, often robust (especially in tropical representatives of the subfamily Megalopodinae) and with fine hairs. Adults tend to be very brightly coloured, often with brilliant colours, including shades of yellow, red, black, blue or green, often with distinctive markings (especially tropical genera such as Agathomerus). Palaearctic representatives of the genus Zeugophora are usually smaller and more yellow-brown to black in colour. The typical and defining character (especially in the subfamily Megalopodinae) is the massive and strong hind femora (femur), which led to the naming of the family. They are often armed with spines.

Representatives of the subfamily Zeugophorinae are characterized by bulging eyes with a small, coarsely punctate shield, the lateral edge of which bears a strong tooth-like bump. Covers without grooves and irregularly coarsely punctate. The epipleurae are separated from the scapes by a sharp edge. The suture of the trusses is notched along its entire length. The larvae are legless, with a flattened body. Their upper lip has lobed furrows on the anterior margin.

Sexual dimorphism is pronounced, especially in tropical genera (Megalopodinae), where males have distinctly larger and more robust hind legs than females.

Bionomy

Megalopodidae is a predominantly circumpetropical family, meaning that the greatest diversity is found in tropical and subtropical regions around the world (Africa, Asia, South America). The beetles are mainly found on plants - deciduous trees, shrubs and herbs, where they live on host plants. Many representatives live in lowlands and uplands.

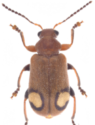
For European representatives, habitat is usually associated with deciduous vegetation, gardens, parks and host plants (trees, shrubs). In the Czech Republic, this family is represented only by the genus Zeugophora, which has a wider, boreal and temperate distribution. These species are found in deciduous forests and forest edges, where they feed on the leaves of woody plants, especially aspen (Populus) and alder (Alnus). The larvae of some species develop in leaves or inside stems.

Members of the family Megalopodidae are phytophagous, that is, they feed on the leaves (nibbling) or flowers of host plants. The larvae are endophytic, meaning they develop inside plant tissues. Their development varies according to the subfamily to which they belong:

Megalopodinae: Larvae most often develop in the trunks, branches or roots of host plants, often tropical trees and shrubs (e.g. Solanaceae). They cause corridors, similar to carpenter beetles or dwarf carpenter beetles (they are wood-boring/stonecarrying larvae).
Zeugophorinae (including CR): larvae are mostly leaf miners (forming flat tunnels in leaves).
Palophaginae: Larvae are unique because they feed on the pollen of conifer cones (e.g. Araucaria).

After development is complete, the larva leaves the plant and pupates in the soil or pupates directly inside the plant's tunnels.

Numbers of Lower Taxonomic Units

Indicative numbers of representatives of selected taxonomic units in individual regions

Taxonomic
Unit
Region
Czech
republic
Central
Europe
Europe Afrotropical Australian Nearctic Neotropical Oriental Palaearctic World
Subfamily 1 1 1 2 1 2 3 2 2 3
Tribe 0 0 0 2 0 1 1 2 1 2
Genus 1 1 1 12 5 2 15 8 3 30
Species 5 5 5 160 20 20 280 100 56 580

 

Interesting Representatives

The Largest

The largest species are found in tropical regions (South America, Asia), in the subfamily Megalopodinae. Large species of genera such as Mastostethus or Agathomerus can reach a size of up to 20 mm. These species are characterised by their strikingly massive hind limbs. The representatives living in the Czech Republic are small, with the largest species of the genus Zeugophora reaching a size of only about 4 mm.

The Smallest

The smallest representatives are at the lower end of the size range of the family (2 - 20 mm), around 2-3 mm. These are typically smaller species of tropical genera or representatives of the genus Zeugophora.
In the Czech Republic, the smallest representatives of the genus Zeugophora measure 2.5 mm.

The Rarest

Due to their tropical distribution and high endemism in some areas, many species in Africa, South America and Asia are poorly studied and locally considered rare. Specifically, the subfamily Palophaginae is known only from Australia and New Guinea, where its representatives live on unique host plants (Araucaria) and are considered rare.

Only species of the genus Zeugophora occur in the Czech Republic. The species Zeugophora turneri is included in the Red List of Threatened Species of the Czech Republic in the category CR - Critically Endangered (Veselý et al., 2017), which makes it the rarest/most endangered representative of the family in our territory.

Interesting facts

  • Defence (Megalopodinae): The powerful hind legs in males of tropical species of Megalopodinae are not primarily used for locomotion, but most likely for defence and territorial fights between males, similar to some species of carpenters or weevils.
  • Bionomics (Palophaginae): the subfamily Palophaginae (only two genera in Australia) is evolutionarily significant because adults and larvae feed exclusively on pollen of conifers of the genus Araucaria, a very unusual diet within the Chrysomeloidea.
Examples of global representatives of the family

 

Examples of Czech representatives of the family

 

References in the Lexicon
Basic Review Literature

 

Cookies user preferences
We use cookies to ensure you to get the best experience on our website. If you decline the use of cookies, this website may not function as expected.
Accept all
Decline all
Analytics
Tento web používá analytické cookies systému Matomo za účelem anonymního sledování návštěvnosti a zlepšování jeho funkčnosti. Data jsou zpracovávána agregovaně a nejsou používána k vaší osobní identifikaci. Analytické cookies můžete odmítnout nebo s jejich použitím souhlasit. (This website uses Matomo analytical cookies to anonymously track traffic and improve its functionality. The data is processed in aggregate form and is not used to identify you personally. You can refuse analytical cookies or consent to their use.)
Matomo
Používáme analytické cookies Matomo k anonymnímu vyhodnocování návštěvnosti. Souhlasem povolíte jejich použití, odmítnutím zabráníte jejich ukládání. (We use Matomo analytical cookies to anonymously evaluate traffic. By agreeing, you consent to their use; by refusing, you prevent them from being stored.)
Accept
Decline
Save