Select your language

The Family Atlas

Processing status:
5 / 5 100%
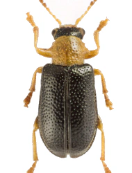
Size of Species: 2 - 4 mm
Tarsal Formula: 5-5-5 (Pseudotetrameria: apparently 4-4-4)


Megalopodidae is a small family of beetles in the superfamily Chrysomeloidea, which was formerly often considered a subfamily of the family Chrysomelidae. They are small to medium-sized beetles (2-20 mm worldwide, 2-4 mm in the Czech Republic), often with elongated bodies. Some tropical ones can have very elongated hind legs (subfamily Megalopodinae), which gives the whole family its name (megalos - large, podos - leg). European and Czech representatives (subfamily Zeugophorinae) are rather small and stocky. Pseudotetrameria of tarsus is characteristic (pattern 5-5-5, but apparently 4-4-4). Larvae are mostly leaf miners on various woody plants and herbs (especially in the subfamily Zeugophorinae, in the Czech Republic on aspen and alder). Some larvae develop in stems. Adults are usually phytophagous, feeding on leaves and pollen. The family has a predominantly tropical distribution, with the largest number of species in the Americas, Africa and Southeast Asia. In the temperate zone (including Europe and the Czech Republic) it is only minimally represented, and only in the subfamily Zeugophorinae (genus Zeugophora).

Number of Species:

World 580
Palaearctic Region 56
Europe 5
Central Europe 5

card family 48 Family Card

 

MEGALOPODIDAE Latreille, 1802

Zeugophorinae (Böving & Craighead, 1931)

 

 

Cookies user preferences
We use cookies to ensure you to get the best experience on our website. If you decline the use of cookies, this website may not function as expected.
Accept all
Decline all
Analytics
Tento web používá analytické cookies systému Matomo za účelem anonymního sledování návštěvnosti a zlepšování jeho funkčnosti. Data jsou zpracovávána agregovaně a nejsou používána k vaší osobní identifikaci. Analytické cookies můžete odmítnout nebo s jejich použitím souhlasit. (This website uses Matomo analytical cookies to anonymously track traffic and improve its functionality. The data is processed in aggregate form and is not used to identify you personally. You can refuse analytical cookies or consent to their use.)
Matomo
Používáme analytické cookies Matomo k anonymnímu vyhodnocování návštěvnosti. Souhlasem povolíte jejich použití, odmítnutím zabráníte jejich ukládání. (We use Matomo analytical cookies to anonymously evaluate traffic. By agreeing, you consent to their use; by refusing, you prevent them from being stored.)
Accept
Decline
Save