Select your language

The Family Atlas

Processing Status:
1 / 1 100%
Size of Species: 7 - 16 mm
Tarsal Formula: 5-5-5


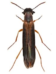
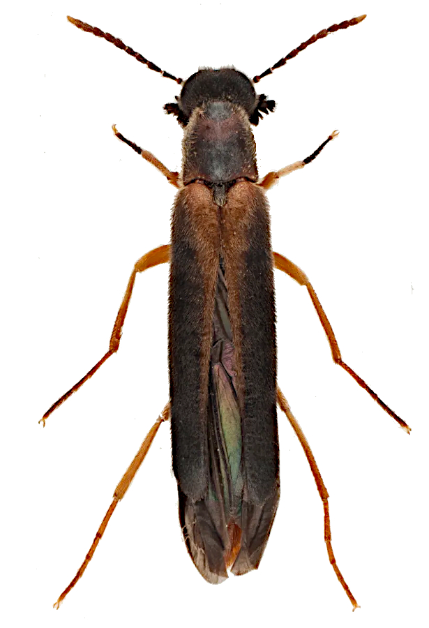
The family Lymexylidae is defined in the revised concept (Batelka et al., 2025) on the basis of phylogenomic analysis and comprises two subfamilies: Lymexylinae and Atractocerinae. It represents a group of beetles with an extremely elongated, cylindrical, soft body and thread-like or only slightly serrated eleven-segmented antennae. Their elytra are often shortened or narrowed, so that they do not completely cover the abdomen, giving them a somewhat archaic appearance. The main distinguishing feature of the males is their incredibly modified maxillary palps. These are complexly branched and form dense, shrub-like organs that serve to detect the pheromones of females in dense undergrowth. Adults are short-lived and often do not feed at all; their sole purpose is reproduction. The larvae have a symbiotic relationship with fungi of the genus Endomyces, which they cultivate in tunnels bored into the wood and on which they primarily feed. The larva has a special spiny protrusion at the end of its body, which it uses to push debris out of the tunnels, thereby keeping its fungal colony clean. The beetles prefer to develop in hard deciduous trees (e.g. oaks). The family has a cosmopolitan distribution, with the centre of diversity in the tropics, particularly in Southeast Asia, Africa and South America. The Lymexylinae are found mainly in the Palearctic region, whilst the Atractocerinae are exclusively tropical. In total, approximately 42 extant species in 11 genera are recognised within the family.

Number of Species:

World 42
Palaearctic Region 14
Europe 3
Central Europe 3

card family 48 Family Card

 

LYMEXYLIDAE (Fleming, 1821)

Lymexylinae (Fleming, 1821)

 

 

Cookies user preferences
We use cookies to ensure you to get the best experience on our website. If you decline the use of cookies, this website may not function as expected.
Accept all
Decline all
Analytics
Tento web používá analytické cookies systému Matomo za účelem anonymního sledování návštěvnosti a zlepšování jeho funkčnosti. Data jsou zpracovávána agregovaně a nejsou používána k vaší osobní identifikaci. Analytické cookies můžete odmítnout nebo s jejich použitím souhlasit. (This website uses Matomo analytical cookies to anonymously track traffic and improve its functionality. The data is processed in aggregate form and is not used to identify you personally. You can refuse analytical cookies or consent to their use.)
Matomo
Používáme analytické cookies Matomo k anonymnímu vyhodnocování návštěvnosti. Souhlasem povolíte jejich použití, odmítnutím zabráníte jejich ukládání. (We use Matomo analytical cookies to anonymously evaluate traffic. By agreeing, you consent to their use; by refusing, you prevent them from being stored.)
Accept
Decline
Save