Říše živočichové (Animalia) > Kmen členovci (Arthropoda) > Podkmen šestinozí (Hexapoda) > Třída hmyz (Insecta) > Podtřída křídlatí (Pterygota) > Řád brouci (Coleoptera)
- Eleuterata (Fabricius, 1775)
- CZ: Brouci
- CZ: Lomenokřídlí
- SK: Chrobáky
- SK: Koleoptéra, koleoptéry
- SK: Hmyz zlomenokridlý
- PL: Chrząszcze
- DE: Die Käfer
- AT: Die Käfer
- HU: Bogarak
- CH: Die Käfer
- FR: Les Coléoptères
- UK: Beetles
- ES: Los coleópteros
- IT: Coleotteri
- RU: Жесткокры́лые
- RU: Жуки́
Název taxonomického řádu Coleoptera pochází z řeckého slova koleopteros (κολεόπτερος), vytvořeným skupinou kolem Aristotela ve 4. století př.n.l.. Je to složenina, odvozená ze slov, charakterizujících zpevněná přední křídla brouků (koleos = pochva) pod nimiž jsou schovaná samotná blanitá křídka (pteron = okřídlený). Název přejal Carl Linné v roce 1758.
Brouci jsou nejrozmanitějším řádem hmyzu s téměř 450 000 popsanými druhy. Zběžné prozkoumání jejich základní struktury může jen málo naznačit, proč by skupina měla být tak úspěšná, přesto však vykazují úžasnou rozmanitost stanovišť, kromě moře, i když i v těsné blízkosti moře se vyskytuje mnoho druhů. Jediným nejdůležitějším strukturálním rysem, přispívajícím k úspěchu řádu, byl vývoj krovek (sklerotizovaná přední křídla), která chrání zadní křídla, když se nepoužívají a umožňují hmyzu obsadit uzavřené prostory i jiná stanoviště. Mezi další důležité prvky, spojené s tímto způsobem života, patří usazení koxálních segmentů nohou v dutinách, zploštění těla a zvýšení podílu sklerotizovaného povrchu těla, což je zvláště důležité pro ochranu hmyzu před predátory a nemocemi. Také ukrytí spirakul v subelytrální dutině minimalizuje ztráty vody z tracheálního systému, což umožňuje broukům proniknout do suchého prostředí. Většina brouků je fyofágních, včetně více než 135 000 druhů pouze ve dvou superčeledích, Chrysomeloidea a Curculionoidea. Zdá se, že evoluce těchto dvou skupin a jejich druhová bohatost úzce souvisí s evolucí krytosemenných rostlin (Farrell, 1998).
Druhy řádu Coleoptera tvoří největší řád života na Zemi. Jeden z každých pěti druhů živých tvorů na Zemi je brouk. Nikdo přesně neví, kolik druhů brouků bylo popsáno, ale odhady se pohybují kolem 450 000. Vědecké odhady celkového počtu existujících druhů jsou však mnohem vyšší a dramaticky se liší. Současné odhady celkové druhové bohatosti řádu Coleoptera se pohybují v rozmezí 0.9 milionu až 2.1 milionu, přičemž střední hodnota je často uváděna na 1.5 milionu druhů. Brouci žijí téměř v každém prostředí, kde se vyskytuje hmyz, ale nedostávají se do pozornosti laika tak často jako členové některých jiných řádů, které jsou nápadnější svou velikostí nebo zvyky. Většina brouků je schopna letu a někteří létají docela dobře, ale žádný nepřijal skutečně vzdušný životní styl motýlů a vážek. Většina tráví větší část svého života ve skrytých biotopech – pod kůrou a v mrtvém dřevě, v půdě a listí, ve vodách rybníků, jezer a potoků. Přestože někteří brouci patří mezi největší hmyz, většina z nich je docela malá. Nicméně brouci jsou bezkonkurenční ve své rozmanitosti forem a barev a v téměř nekonečných způsobech života, obživy a rozmnožování, které si během svého vývoje vytvořili.
Orientační počty zástupců vybraných taxonomických jednotek v jednotlivých regionech
| Taxonomická jednotka |
Region | |||||||||
| Česká republika |
Střední Evropa |
Evropa | Afrotropical | Australian | Nearctic | Neotropical | Indomalayan (Oriental) |
Palaearctic | Svět | |
| Řád | 1 | 1 | 1 | 1 | 1 | 1 | 1 | 1 | 1 | 1 |
| Podřád | 3 | 3 | 4 | 6 | ||||||
| Infrařád | 8 | 8 | 8 | 8 | ||||||
| Nadčeleď | 22 | 24 | 28 | 31 | ||||||
| Čeleď | 113 | 114 | 137 | 160 | 150 | 130 | 170 | 170 | 140 | 211 |
| Podčeleď | 261 | 541 | ||||||||
| Tribus | 513 | 1 663 | ||||||||
| Rod | 1 707 | 5 415 | ||||||||
| Druh | 6 336 | 9 741 | 20 000 | 30 000 | 20 000 | 25 000 | 175 000 | 110 000 | 100 000 | 450 000 |
Zoogeografické regiony
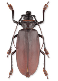
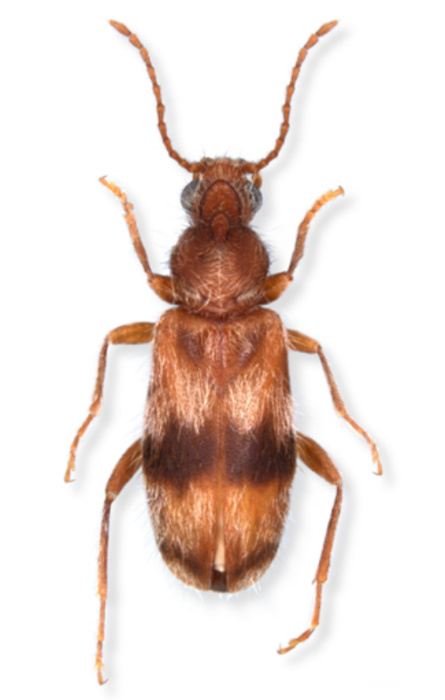
Příklady zástupců řádu Coleoptera z České republiky
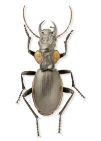
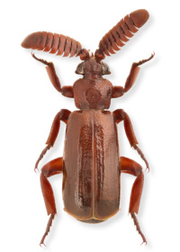
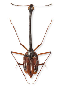
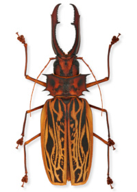
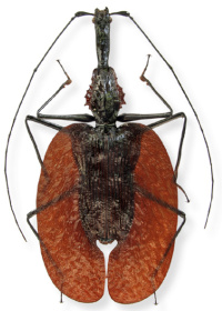
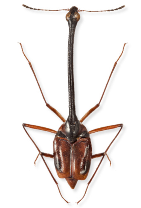
Příklady zástupců řádu Coleoptera ze světa
Katalog (Katalogy čeledí brouků Střední Evropy)
Taxonomický atlas (Taxonomické atlasy čeledí brouků České republiky)
Abecední atlas (Abecední atlasy čeledí brouků České republiky)
Determinační klíče
- Beutel R., Leschen R.: Handbook of Zoology, Arthropoda: Insecta, Coleoptera: Beetles, Ed. 2, Volume 1: Morphology and Systematics (Archostemata, Adephaga, Myxophaga, Polyphaga partim), Walter de Gruyter GmbH, Berlin/Boston, 2016
- Bouchard P.: The Book of Beetles, A Lifesize Guide to Six Hundred of Nature’s GEMS, Ivy Press, East Sussex, 2014
- Böving A., Craighead F.: Larvae of Coleoptera, An Illustrated Synopsis of the Principal Larval Forms of the Order Coleoptera, Brooklyn Entomological Society, Brooklyn, 1931
- Dlouhý F.: Brouci, Soustavný popis nejdůležitějších českých brouků s návodem, kterak zakládati sbírky broukův. 2. vydání, Nakladatel I. L. Kober, Praha, 1912
- Hůrka K.: Brouci České a Slovenské republiky, -, Nakladatelství Kabourek, Zlín, 2017
- Klapálek F.: Atlas brouků středoevropských, část 1, Nakladatel I. L. Kober, Praha, 1903
- Klapálek F.: Atlas brouků středoevropských, část 2, Nakladatel I. L. Kober, Praha, 1903
- Kliment J.: Čeští brouci, Dílo o broucích Čech, Moravy a Slezka, Vydal autor, 1899
- Leschen R., Beutel R., Lawrence J.: Handbook of Zoology, Arthropoda: Insecta, Coleoptera: Beetles, Ed. 1, Volume 2: Morphology and Systematics (Elateroidea, Bostrichiformia, Cucujiformia partim), Walter de Gruyter GmbH, Berlin/Boston, 2010
- Leschen R., Beutel R.: Handbook of Zoology, Arthropoda: Insecta, Coleoptera: Beetles, Ed. 1, Volume 3: Morphology and Systematics (Phytophaga), Walter de Gruyter GmbH, Berlin/Boston, 2014
- Pokorný V.: Atlas brouků, -, Paseka, 2002
- Zahradník J.: Brouci, fotografický atlas, Aventinum, 2008

































