Select your language

All      A   B   C   D   E   F   G   H   I   J   K   L   M   N   O   P   Q   R   S   T   U   V   W   X   Y   Z

Family Card

Taxonomic classification

Coleoptera > Adephaga > (Geadephaga) > (Caraboidea) > Cicindelidae

Latin synonyms

  • LAT: Oxycheilidae (obsolete)

 

 

Language synonyms
 
  • CZ: svižníkovití
  • SK: svižníkovité
  • PL: biegaczowate
  • DE/AT/CH: Sandlaufkäfer
  • DE/AT/CH: Tigerkäfer
  • HU: homokfutófélék
  • CH: cicindèles
  • EN: tiger beetles
  • RU: скакуны (skakuny)

     

Etymology of the name

The etymology of the family Cicindelidae comes from the Latin word "cicindela", which means "firefly", "lantern" or "sparkle". This name referred to the metallic shiny (sometimes even sparkly) body surface of many species of fireflies, which may have evoked a glint or flash of light. The name thus refers to the glossy color and lightning-fast movement of the beetle in the sun.

Basic Characteristics

History

The family Cicindelidae was first described by the French entomologist Pierre André Latreille in 1802. The origin and existence of the Cicindelidae dates back to the Middle Cretaceous (fossil records, e.g. in amber from Kachin). For a long time, marsupials were considered a subfamily of Cicindelinae within the family Carabidae (a commonly used approach in many older faunal surveys). In recent years (especially papers published around 2020 and subsequently), the concept of marsupials as a separate family Cicindelidae, sister lineage to Carabidae within Adephaga, has been increasingly promoted based on molecular and phylogenetic studies. The key work validating the separation is Duran & Gough et al.(Duran, D.P. and Gough, H.M. (2020), Validation of tiger beetles as distinct family (Coleoptera: Cicindelidae), review and reclassification of tribal relationships. Syst Entomol, 45: 723-729. https://doi.org/10.1111/syen.12440) and related molecular studies published in Systematic Entomology and other peer-reviewed sources. This transition from subfamily to family is now widely accepted in the literature, although some databases or older papers still refer to the older concept.

Morphology

The cicindelids are generally small to medium-sized beetles. In the Czech Republic, their size ranges from about 6.5 to 20 mm. Globally, this range is much wider. While the smallest species may measure only a few millimetres (about 4-5 mm), the largest representatives, especially from the genus Manticora from Africa, can reach body lengths of up to 40-70 mm.

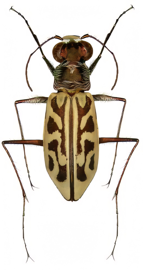
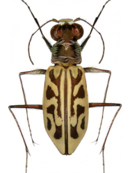
The cicindelids are renowned for their slender, predatory appearance and adaptations for fast movement and hunting. They are strikingly coloured, often metallic green, blue, bronze or with bright patterns (spots, bands). Many species have iridiscent, metallic coloration (green, blue, bronze), while others are dull or darkly colored. The head is strikingly broad with large, bulging compound eyes that provide an excellent field of view for active hunting. The mandibles are powerful, long and sabre-shaped with strong teeth - ideal for grasping and killing prey. The legs are extremely long and slender (similar to those of a shoebill), adapted for fast running. When comparing speed to body size, cicindelids are among the fastest terrestrial insects. They can reach speeds of up to 9-13 km/h when running.

The phenomenon of dichroism (or more broadly, structural colouration and iridescence) is common in tiger beetles. Their metallic colours are not only due to pigments, but mainly to the microscopic structure of the cuticle, which refracts light at different angles, which can lead to an apparent change in colour depending on the viewing angle.

Sexual dimorphism (the difference in appearance between male and female) is less pronounced in tiger beetles than in many other families of beetles, but it does exist. Males often have enlarged first three links of the front feet (tarsi), which they use to grasp the female during copulation. They sometimes vary in size (females may be slightly larger and more robust) or in the shape of the upper lip (labrum).

Bionomy

The tiger beetles primarily inhabit open, sunny, and xerothermic (warm and dry) habitats with sparse or no vegetation. They like sandy and exposed areas such as sandbars, dunes, sandy beaches or river and lake alluvium. Native river alluvium is rare in our country after river regulation, so cicindelids often find refuge in secondary habitats such as sandpits, clay pits, tailings ponds, quarries or gravel pits. They also seek dry, sunny forest paths, clearings, and the edges of pine and light forests. Dry, grassy and scrubby steppes and warm hillsides are other habitats where tiger beetles can be seen. There are also species in upland areas, adapted to gravel and rocky slopes. They are considered bioindicators - their presence indicates the preservation and quality of specific, often threatened, open habitats.

The cicindelids are both adult stage (imago) and larval stage tireless predators (predators). Their English name "Tiger Beetles" reflects their aggressive hunting habits. Adults actively hunt, relying on their excellent eyesight and extreme running speed. When pursuing prey, they sometimes, due to their high running speed, lose sight of it and have to stop to reacquire their bearings. Their food consists of small insects (flies, ants, smaller beetles), spiders and other invertebrates, which they quickly grab with their powerful, sabre-like talons. They hold their prey in their tentacles and secrete digestive juices on it, which break it down and turn it into a liquid slurry. This is then sucked up by the beetle. They are usually active during the day in full sun. Some African and American genera (Megacephala, Manticora) are active at night.

The larvae live in vertical burrows (tunnels) that they dig in sandy or clay soil, which can be up to a metre deep. They close the entrance of the burrow with their head and foreparts, fixing the hook-like process on the 5th hindlimb in the process. They orient themselves by sight and attack their prey in the immediate vicinity of the passageway, from which they only emerge posteriorly. When prey (small insects or spiders) approach, the larva shoots out of the burrow at lightning speed, grabs the prey with its fangs, pulls it into the burrow and eats it. Upward movement in the burrow is facilitated by dorsal hooks on the rump which prevent it from sliding backwards. They pupate at the bottom of the burrow, usually after two years of development.

Numbers of lower taxonomic units

Approximate numbers of representatives of selected taxonomic units in each region

Taxonomic
unit
Region
Czech
republic
Central
Europe
Europe Afrotropical Australian Nearctic Neotropical Oriental Palaearctic World
Subfamily 0 0 0 0 0 0 0 0 0 0
Tribus 1 1 2 3 2 3 4 4 3 6
Genus 3 5 9 35 15 20 45 70 34 130
Species 9 17 30 450 80 125 550 850 260 2 600

 

Interesting representatives

The Largest

The largest tiger beetles belong to the African genus Manticora (e.g. Manticora imperator, Manticora tuberculata or Manticora latipennis) and reach a body length of 40 to 70 mm. These robust species are often flightless and active at night. In the Czech Republic, the largest representative of the family is the Cicindela sylvatica with a body length of up to 20 mm. The other largest Czech species (e.g. Cicindela campestris) reach rather the upper limit of the local range, i.e. 12 to 15 mm.

The Smallest

Worldwide, there are small species in tropical areas with body lengths of around 4-6 mm. These may include, for example, some species of the genus Habrodera with body lengths of around 6 mm. In the Czech Republic, the size of the smaller species is around 6 - 8 mm. The smallest species include the Cylindera germanica with a length of 7.5-10.5 mm and the Cylindera arenaria viennensis with a length of 6.5-10 mm.

The Rarest

Worldwide, some local endemics and species with restricted sandy habitats are threatened regionally and globally (e.g. species from sand dunes, coastal habitats or isolated halophilic sites). As an example, species with extremely restricted distributions in North America and Europe are often cited in the literature. These species are often restricted to small, isolated sites (e.g. Cicindela albissima in the USA restricted to specific sand dunes). In the Czech Republic, most cicindelid species are threatened to varying degrees due to loss of natural open habitats (river regulation, overgrowth of sandpits). Among the rarest are:

  • Cylindera arenaria viennensis: a very rare and locally occurring species in the Czech Republic, which is tied to large areas of fine sand without vegetation (alluvial plains, sand pits). Its rediscovery in localities with close to nature recovery is considered a conservation success.
  • Cicindela soluta pannonica: Historically very rare in southern Moravia, no reliable information on its recent occurrence.

Attractions

  • Speed and hunting: Tiger beetles are renowned for their speed. When a cicindelid runs at full speed (up to 2.5 m/s = 9 km/h), its eyes cannot process the image fast enough to orient itself. Therefore, it must stop briefly while pursuing prey to reorient itself and re-focus. It's a fascinating "stop-start strategy".
  • Environmental indicators: Because of their specific requirements for open and unshaded habitats, tiger beetles are recognized worldwide as important bioindicators of environmental health.
  • Larval conservation: Tiger beetles larvae are masters of camouflage. They have a heavily sclerotized, flattened head and shield that perfectly enclose the burrow opening and blend in with the surrounding soil.
  • Mimicry: Some species of tiger beetles are known for Batesian mimicry, imitating the appearance or sound of dangerous insects (e.g., responding to bat ultrasonic sounds, imitating poisonous butterflies).
    Note: Batesian mimicry (or Batesian mimesis) is a type of protective adaptation in which a harmless or edible species of animal (mimic, mimetic) mimics another, dangerous, poisonous, or inedible species (model) in appearance (coloration, shape). The aim is to deter predators that have already learned to avoid the model.
  • Strong substrate specialization: Many species are closely tied to a specific soil type (sand, clay, gravel), which causes high endemism and at the same time higher vulnerability to habitat change.
Examples of worldwide representatives of the family

 

Examples of Czech representatives of the family

 

Basic review literature

  • Beutel R., Leschen R.: Handbook of Zoology, Arthropoda: Insecta, Coleoptera: Beetles, Ed. 2, Volume 1: Morphology and Systematics (Archostemata, Adephaga, Myxophaga, Polyphaga partim), Walter de Gruyter GmbH, Berlin/Boston, 2016
  • Bouchard P.: The Book of Beetles, A Lifesize Guide to Six Hundred of Nature’s GEMS, Ivy Press, East Sussex, 2014
  • Dlouhý F.: Brouci, Soustavný popis nejdůležitějších českých brouků s návodem, kterak zakládati sbírky broukův. 2. vydání, Nakladatel I. L. Kober, Praha, 1912
  • Hůrka K.: Brouci České a Slovenské republiky, -, Nakladatelství Kabourek, Zlín, 2017
  • Klapálek F.: Atlas brouků středoevropských, část 1, Nakladatel I. L. Kober, Praha, 1903
  • Kliment J.: Čeští brouci, Dílo o broucích Čech, Moravy a Slezka, Vydal autor, 1899
  • Pearson D., Vogler A.: Tiger Beetles, The Evolution, Ecology, and Diversity of the Cicindelids, Cornell University Press, Ithaca/London, 2001
 

 

Cookies user preferences
We use cookies to ensure you to get the best experience on our website. If you decline the use of cookies, this website may not function as expected.
Accept all
Decline all
Analytics
Tento web používá analytické cookies systému Matomo za účelem anonymního sledování návštěvnosti a zlepšování jeho funkčnosti. Data jsou zpracovávána agregovaně a nejsou používána k vaší osobní identifikaci. Analytické cookies můžete odmítnout nebo s jejich použitím souhlasit. (This website uses Matomo analytical cookies to anonymously track traffic and improve its functionality. The data is processed in aggregate form and is not used to identify you personally. You can refuse analytical cookies or consent to their use.)
Matomo
Používáme analytické cookies Matomo k anonymnímu vyhodnocování návštěvnosti. Souhlasem povolíte jejich použití, odmítnutím zabráníte jejich ukládání. (We use Matomo analytical cookies to anonymously evaluate traffic. By agreeing, you consent to their use; by refusing, you prevent them from being stored.)
Accept
Decline
Save